
Cultura
Martes, 12 de Julio del 2022. 9:14:40 am
El director de la Organización Mundial de la Salud (OMS), Tedros Adhanom Ghebreyesus, dijo durante la mañana de este martes que la pandemia de Covid-19 está lejos de haber terminado. "Nuevas oleadas del virus demuestran una vez más que el Covid-19 está lejos de haber terminado", señaló a t...
Lunes, 11 de Julio del 2022. 4:08:15 pm
Para este lunes se pronostican lluvias muy fuertes (de 50 a 75 milÃmetros [mm]) en regiones de Chiapas, Chihuahua, Durango, Estado de México, Guerrero, Jalisco, Michoacán, Morelos, Nayarit, Oaxaca, Puebla, Sinaloa y Sonora; fuertes (de 25 a 50 mm) en localidades de Campeche, Ciudad de México, Co...
Lunes, 11 de Julio del 2022. 11:17:16 am
El director general del Instituto Nacional de AntropologÃa e Historia (INAH), Diego Prieto, aseguró este lunes que aunque se cambie la ruta del Tramo 5 del Tren Maya, continuarán los hallazgos arqueológicos, por lo que es importante recuperar el material localizado y conservar las estructuras. ...
Lunes, 11 de Julio del 2022. 10:39:53 am
El Servicio Meteorológico Nacional (SMN) pronosticó para este lunes 11 de julio lluvias fuertes con puntuales muy fuertes para Nayarit, y otros estados. El monzón mexicanos y la inestabilidades den niveles altos de la atmósfera ocasionarán lluvias puntuales muy fuertes con posibles granizos ...
Lunes, 11 de Julio del 2022. 9:50:59 am
La SecretarÃa de Salud (Ssa) dio a conocer que este domingo sumaron 9 mil 342 casos de Covid-19 en el paÃs durante la quinta ola. Los 10 estados con la mayor cantidad de casos confirman el 65 por ciento de los casos acumulados, mientras que la tasa de incidencia es de 4 mil 810.5 por cada 100 m...
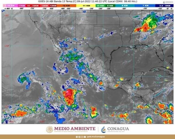
Sábado, 9 de Julio del 2022. 3:38:02 pm
El pronóstico meteorológico para hoy, sábado, es de lluvias muy fuertes (de 50 a 75 milÃmetros [mm]) en Campeche, Chiapas, Colima, Jalisco, Guerrero, Michoacán, Tabasco, Oaxaca y el sur de Veracruz; fuertes (de 25 a 50 mm) en Chihuahua, Durango, Estado de México, Morelos, Nayarit, Puebla, Quin...